HOME小動物診療科フェレット
  • 港区港南・品川エリアの動物病院 芝浦港南動物病院の画像 総合診療科
  • 港区港南・品川エリアの動物病院 芝浦港南動物病院の画像 がん腫瘍科
  • 港区港南・品川エリアの動物病院 芝浦港南動物病院の画像 整形外科
  • 港区港南・品川エリアの動物病院 芝浦港南動物病院の画像 脳神経外科・椎間板ヘルニア
  • 港区港南・品川エリアの動物病院 芝浦港南動物病院の画像 消化器科・内視鏡検査
  • 港区港南・品川エリアの動物病院 芝浦港南動物病院の画像 循環器科・心臓病科
  • 港区港南・品川エリアの動物病院 芝浦港南動物病院の画像 皮膚科
  • 港区港南・品川エリアの動物病院 芝浦港南動物病院の画像 歯科
  • 港区港南・品川エリアの動物病院 芝浦港南動物病院の画像 痛み外来
  • 港区港南・品川エリアの動物病院 芝浦港南動物病院の画像 予防医療
  • 港区港南・品川エリアの動物病院 芝浦港南動物病院の画像 健康診断
  • 港区港南・品川エリアの動物病院 芝浦港南動物病院の画像 高度画像診断・CT/MRI
芝浦動物医療センター 芝浦海岸動物病院
新橋&浜松町動物医療センター 芝公園動物病院
目黒動物医療センター  目黒動物病院
品川動物医療センター  大崎動物病院

フェレットの診療

 当医療センターではフェレットの診療を行っております。フェレットはその小回りのきく体型から以前はヨーロッパ等で狩りに多く用いられてきましたが、好奇心旺盛で人にも良く慣れる性格から日本では伴侶動物として飼育されるようになりました。食肉目イタチ科に属するフェレットは、げっ歯類等の小動物とは異なり、高蛋白・高脂肪の食餌がエネルギー源として必要になります。フェレットは他の動物に比べ中齢~高齢で腫瘍疾患や内分泌疾患の発生が多く、また、病気の予防のために定期的なワクチン接種やフィラリア予防が必要になります。

代表的なフェレットの病気

○ジステンパー

 イヌジステンパーウイルスの感染による疾病で、フェレットの致死率は100%といわれています。初期には皮膚の炎症のみが症状として出ることも多く、進行に伴って目脂や鼻水、気管支肺炎等の呼吸器症状、歩様異常や斜頸等の神経症状を呈します。予防にはワクチン接種が有効です。

○消化管内異物

 特に若くて好奇心が旺盛なフェレットは、タオルやゴム製のおもちゃ、プラスチック等を噛んで飲み込んでしまうことが多く、また、自身の毛球が原因となることもあります。内科的治療の他、異物が消化管を閉塞している場合には早急な外科手術が必要になることがあります。

○インスリノーマ

 膵臓β細胞腫ともよばれ、膵臓の腫瘍からの過剰なインスリン産生によって低血糖を起こす疾病であり、中齢以上のフェレットに好発します。低血糖によって元気消失や歩様異常、痙攣発作等の症状がみられます。治療には外科手術による腫瘤の切除や、自宅での食餌療法・内科治療によって血糖値の維持を行いますが、根治的な治療は難しい疾病です。

○副腎疾患

 副腎の腫瘍や過形成が原因となり、副腎皮質からのホルモン産生の過剰により起きる疾患です。副腎疾患に特徴的な、尾から頭部に向かっての進行性脱毛がほとんどの症例で見られます。性腺への影響や貧血がみられることもあります。治療は羅患した副腎の全摘出や減容積手術、内科治療による症状の軽減等を行います。中齢以上のフェレットでインスリノーマと併発して起こ ることも多い疾病です。

○脾腫

 フェレットは脾臓のウイルス・細菌感染、腫瘍、機能亢進や、インスリノーマや副腎疾患等の全身性疾患、さまざまな原因によって脾臓の腫大を起こします。レントゲンやエコー検査等で病変の確認を行いますが、確定診断には摘出した脾臓の病理組織学的検査が必要なことが多いです。

フェレットの症例紹介

腸閉塞

異物誤食により腸閉塞を起こしたフェレット
嘔吐が数日間止まらず、バリウム検査で腸閉塞を疑いました。開腹手術を行い、十二指腸から異物を摘出しました。

左:バリウム検査開始直後

右:バリウム検査開始から1時間後

フェレットの消化管は比較的短く、検査開始から1時間あればバリウムの大部分が小腸・大腸に移行しますが、このフェレットでは変わらず胃内にバリウムが留まっていました。

矢印で示した部分で異物が腸閉塞を起こしていました。

異物を除去し、腸を縫合します。

直腸脱(脱肛)

下痢や腫瘍、全身性疾患等が原因となって直腸が肛門の外に脱出してしまうことを直腸脱(脱肛)といいます。
フェレットは若齢での臭腺・性腺摘出手術の影響により、他の動物と比べて成体でも直腸脱を起こしやすく、再発も起きやすいといわれています。
軽度なものであれば用手的な整復を行い、原因の治療により改善しますが、炎症が酷い場合や再発を繰り返すときは、肛門周囲の皮膚を縫合する処置が必要になることがあります。

直腸脱を起こしている肛門

直腸脱整復後の肛門

炎症が落ち着くまで再発を起こさせないために、肛門周囲に便が出る隙間を残し巾着縫合を行います。

気管支肺炎を起こしたフェレット

 

レントゲン写真にて、気管支と肺が白くなっています。

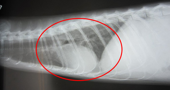
肺水腫を起こしたフェレット

 

肺水腫(赤丸)を起こした胸部レントゲン写真

脾腫(リンパ腫)の見つかったフェレット

 

リンパ腫に侵された脾臓(赤丸)